14
$4,400,000 Sale
Listed 219 days ago
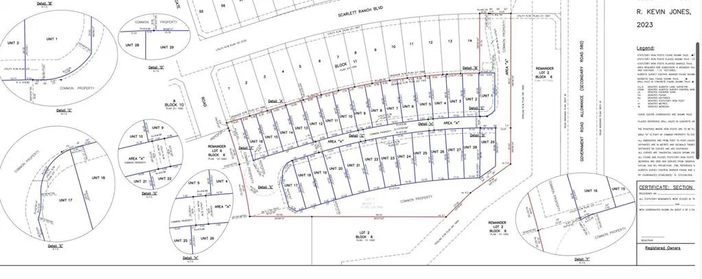
1445 Scarlett Ranch Boulevard
· 0
· 0
· -
· -
Key Facts
Key facts for 1445 Scarlett Ranch Boulevard
Property Type
Other
Parking
-
MLS #
A2198926
Size
-
Basement
-
Listed on
-
Lot size
-
Days on Market
-
Year Built
-
Maintenance Fee
-
Description
22 acres residential parcel, approximately 90 residential detached lots, deep services along main roads. Total 60 acres for 200 residential lots are available, can be purchased together, or 1/3 portion, approx 20 acres each parcel. Some area with half finished houses. see pics. The conceptual pla...n shows the land use which has been approved by Town of Carstairs and the buyer needs to get approval for the subdivision plan. Town of Carstairs works fast, they can approve a subdivision plan in 2 to 3 months. Land is within the townsite of Carstairs. Great existing community, with Schools. Sports grounds nearby. For developers and builders that is ready to built. New houses are already built across the street. Excellent opportunity given the proximity to HWY 2 and Calgary. 25 minutes to Airdrie, 39 minutes to Calgary (54km). Total 60 acres available. Seller is motivated.
Similar Properties (No results)
Courtesy of: First Place Realty
Copyright Pillar 9™. All rights reserved. Information is deemed reliable but not guaranteed.